YOU BEGIN AS A CLIENT, YOU BECOME A FRIEND

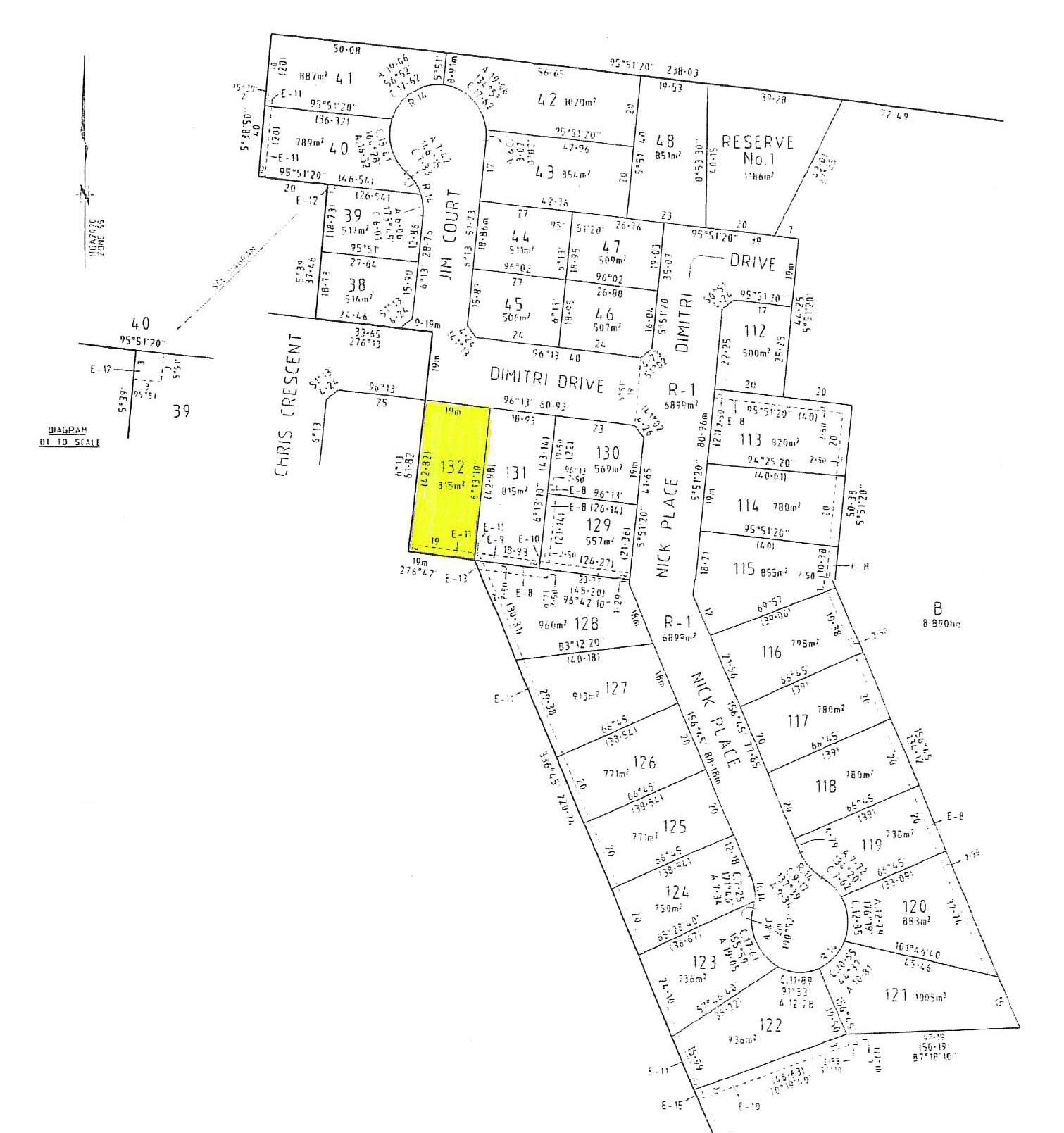
ASTORIA PARK - STAGE 3

* 815m2

* Titles due December 2021

 

 

815 m2
Address Lot 132 Astoria Park, Traralgon
Price SOLD for $256,000
Property Type Residential
Property ID 2526
Category Vacant Land
Land Area 815 m2

Agent Details

Ted Addison photo

Ted Addison

0427 512 378
View Profile